Super-Taifun bricht über Philippinen herein: erste Todesopfer
“Haiyan”, der als einer der gefährlichsten Wirbelstürme seit Jahrzehnten gilt, erreichte am Freitagmorgen die philippinische Ostküste.
Der Sturm traf auf der Insel Samar rund 600 Kilometer südöstlich von Manila auf Land. Er erwarte “katastrophale” Zerstörungen in dem Fischerort Guiuan, der als erster auf “Haiyans” Weg lag, erklärte der US-Meteorologe Jeff Masters vom Wetterdienst Weather Underground.
Guiuan war unmittelbar nach dem Eintreffen des Taifuns von der Außenwelt abgeschnitten. In der benachbarten Stadt Tacloban wurden Straßen überschwemmt und Häuser zerstört. Im Vorfeld des Sturms waren landesweit mehr als 125.000 Menschen in Sicherheit gebracht worden.
Hunderttausende auf der Flucht
Mehr als 680 000 Menschen mussten ihre Häuser in Küstengebieten oder anderen gefährdeten Regionen verlassen, wie die Behörde für Katastrophenschutz mitteilte. 22 Provinzen seien betroffen.
Unter den evakuierten Regionen ist auch die Provinz Bohol, wo seit einem Erdbeben im Oktober mit mehr als 220 Todesopfern zahlreiche Menschen noch immer in Zeltstädten leben. Auch hier mussten tausende Menschen in Notunterkünfte gebracht werden, so Gouverneur Edgardo Chatto. Bohol soll der Vorhersage zufolge zwar nicht direkt von “Haiyan” getroffen werden. Doch werden auch dort starke Winde und heftiger Regen erwartet.
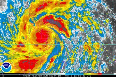
Viertstärkster je gemessener Wirbelsturm
Mit seinen extremen Windgeschwindigkeiten gehöre “Haiyan” zu den vier stärksten jemals gemessenen Wirbelstürmen der Welt und sei der schwerste, der je auf Land getroffen sei, erklärte Meteorologe Masters.
“Haiyan” ist der weltweit bislang stärkste Sturm dieses Jahres. Die Philippinen werden jedes Jahr von rund 20 heftigen Stürmen getroffen. Dabei kommen regelmäßig zahlreiche Menschen ums Leben.
Weit über gefährlichster Taifun-Kategorie
Die Spitzenwindgeschwindigkeiten von “Haiyan” liegen bei bis zu 379 Stundenkilometern, weit über der Schwelle zur gefährlichsten Taifun-Kategorie. Die liegt bei Windgeschwindigkeiten von etwa 185 Kilometern in der Stunde. “Haiyan” war damit gefährlicher als Taifun «Bopha», durch den 2012 auf der Insel Mindanao etwa 1.800 Menschen ums Leben kamen. Das amerikanische Taifun-Warnzentrum (JTWC) sprach wegen der Windstärke von einem “Super-Taifun”.
In der betroffenen Region fielen Strom und Telefone aus. Über das Ausmaß von Schäden und die Zahl der Opfer lagen deshalb zunächst keine umfassenden Angaben vor. Ein Mann wurde in der Ortschaft Lingig auf der Flucht von einem umstürzenden Strommasten erschlagen, wie die Behörde für Katastrophenschutz mitteilte. Überall versperrten umgefallene Bäume die Straßen, Häuser wurden beschädigt.
In der Region und in Nachbarprovinzen waren Schulen und Behörden geschlossen geworden. Zwölf Flughäfen stellten den Verkehr ein, ebenso die Fährhäfen. Der Katastrophenschutz richtete zahlreiche Notunterkünfte ein.
Der “Sturmvogel” – Namensvergabe für Taifune
Der Name des Supertaifuns “Haiyan” auf den Philippinen heißt übersetzt “Sturmvogel”. Er wurde von China vorgeschlagen. Andere Namen auf der Liste stehen für Pflanzen, Orte, mythische Figuren oder Edelsteine.
Im westlichen Pazifik und Südchinesischen Meer werden die Namen für schwere Unwetter nicht alphabetisch, sondern nach einer festen Liste mit 140 Namen vergeben. Der erste Name auf der aktuellen Liste ist “Damrey”, ein Taifun, der im Juli 2012 im Gebiet nördlich des Jangtse in China wütete. “Haiyan” steht auf dem 44. Platz.
Die Liste führt die japanische Meteorologiebehörde (JMA). Die Namensvorschläge stammen aus den 14 Ländern, die im “Taifun-Ausschuss für den westlichen Nordpazifik und das Südchinesische Meer” vertreten sind. Darunter sind unter anderem Japan, China, Laos, die USA und die Philippinen vertreten.
(dpa/APA/red)
Du hast einen Hinweis für uns? Oder einen Insider-Tipp, was bei dir in der Gegend gerade passiert? Dann melde dich bei uns, damit wir darüber berichten können.
Wir gehen allen Hinweisen nach, die wir erhalten. Und damit wir schon einen Vorgeschmack und einen guten Überblick bekommen, freuen wir uns über Fotos, Videos oder Texte. Einfach das Formular unten ausfüllen und schon landet dein Tipp bei uns in der Redaktion.
Alternativ kannst du uns direkt über WhatsApp kontaktieren: Zum WhatsApp Chat
Herzlichen Dank für deine Zusendung.